SKELET,
ZÁNĚTY, INFEKCE
- kazuistika
SKE-61 ze dne 27.10.2009
Osteomyelitida talokrurálního kloubu – kombinace scintigrafie skeletu a scintigrafického vyšetření zánětu
MUDr. Otakar Kraft, Ph.D.
Klinika nukleární medicíny
Fakultní nemocnice Ostrava-Poruba
Kazuistika
U dnes 72 letého nemocného byla před 4 roky provedena na ortopedickém pracovišti osteosyntéza bimaleolární fraktury pravé dolní končetiny. Nyní před měsícem byl kovový materiál odstraněn pro chronickou sekreci na obou kotnících. Podle rtg vyšetření je patrná zašlá kloubní štěrbina hlezenního kloubu vpravo, ve strukturách kotníků jsou cystická projasnění. Přetrvává masivní otok hlezna a celého bérce.
Pro podezření na osteomyelitidu v oblasti pravého talokrurálního kloubu byl pacient odeslán na naši kliniku ke scintigrafii skeletu. Na dvoudetektorové tomografické kameře E.CAM firmy Siemens byla provedena celotělová
(obr.1) a cílená statická scintigrafie distálních částí bérců a obou nohou
(obr.2) 2,5 hod. po i.v. aplikaci 700 MBq 99mTc-oxidronátu (přípravek
TechneScan HDP firmy Mallinckrodt
Medical). Prokazujeme zvýšenou depozici radiofarmaka v oblasti pravého hlezna. Tento nález svědčí pro zvýšenou osteoblastickou aktivitu v této lokalizaci – buď je to podmíněno nedávnou operací nebo osteomyelitidou.

/ Obr. č. 1: Statická scintigrafie skeletu talokrurálních kloubů, distální části bérců a obou nohou 2,5 hodiny
po aplikaci radiofarmaka 99mTc-oxidronátu v přední a zadní projekci /

/ Obr. č. 2: Celotělová scintigrafie skeletu v přední a zadní projekci/
K verifikaci přítomnosti zánětu jsme za sedm dní po scintigrafii skeletu pacienta vyšetřili znovu. I.v. jsme aplikovali 700 MBq
99mTc značených monoklonálních protilátek proti granulocytům. Celotělovou a cílenou statickou scintigrafii talokrurálních kloubů jsme provedli za 4 hodiny po podání tohoto radiofarmaka opět na dvouhlavé tomografické scintilační kameře Symbia S firmy Siemens
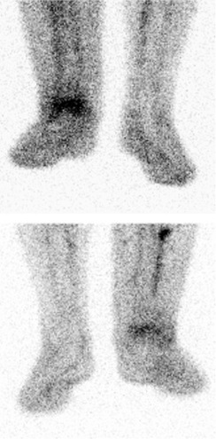
(obr. 3, 4 ). Za 24 hod. jsme statické scintigramy zopakovali (obr. 5
). Pozorujeme zvýšenou depozici radioindikátoru v oblasti pravého talokrurálního kloubu. Nález svědčí pro zánětlivé ložisko v této lokalizaci.

/ Obr. č. 3: Celotělová scintigrafie zánětu za 4 hod. po aplikaci značených
monoklonálních protilátek proti granulocytům, projekce přední a zadní /

/ Obr. č. 4: Statická scintigrafie zánětu za 4 hod. po aplikaci značených monoklonálních protilátek proti granulocytům,
projekce přední a zadní- scintigrafie obou talokrurálních kloubů a distální části obou bérců /

/ Obr. č. 5: Statická scintigrafie zánětu za 24 hod. po aplikaci značených monoklonálních protilátek
proti granulocytům, projekce přední, zadní a obě boční- scintigrafie obou talokrurálních kloubů /
Závěr
U 72 nemocného byla kombinací scintigrafie skeletu TechneScanem HDP a scintigrafie značenými monoklonálními protilátkami proti granulocytům prokázán zánětlivý proces v oblasti pravého talokrurálního kloubu.
Pracoviště:
|
Fakultní
nemocnice Ostrava
Klinika nukleární medicíny
přednosta: MUDr. Otakar Kraft, Ph.D.
17.listopadu 1790
708 52 Ostrava-Poruba
|
kontakt
na autora:
otakar.kraft@fnspo.cz
<<
ZPĚT
|